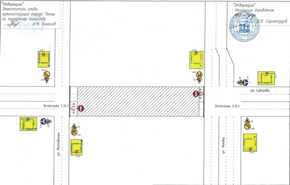
В Пензе перекроют движение на проезжей части дороги на улице Суворова в период с 20:00 до 19 сентября до 20:00 24 сентября.
По данным Управления ЖКХ города, это связано с переустройством сетей водопровода и хоз. фекальной канализации.
Проезд запретят на участке от пересечения с ул. Московской до пересечения с ул. Чехова.
Ранее сообщалось, что 20 сентября в Кузнецке ограничат движение на двух улицах.

В Пензенской области у жителя изъяли участок для строительства дороги
До 1 октября в Пензе ограничат движение транспорта на улице Богданова
В Кузнецке под Пензой планируют расширить Алексеевское шоссе в 2026 году
В Пензе по дороге через Ахунский сосновый бор ездят, несмотря на запрет
В Пензе на улице Ударной временно ограничат движение транспорта